Hay condiciones favorables para que se presentes lluvias por la tarde

El Maestro Víctor Cornejo López, Jefe de la Unidad de Meteorológica del Centro Universitario de la Costa, informó que para este jueves 20 de agosto, se siguen presentando fuertes contrates, cielos claro, ambiente seco, muy caluroso, tiempo que domina en los estados fronterizos del Norte. Piedras Negras y Ciudad Juárez, superará los 40, Mexicali llegará a los 45 grados.

Mientras que en los mares del Pacífico Sur, se mantienen activos con extensas zonas de nublados y lluvias provocadas por centro de baja presión y una onda tropical que avanza en mares de Michoacán.

Entrega CUCosta más de 1,000 despensas a estudiantes

Dicho programa, también ha beneficiado a alumnos de cinco módulos de preparatoria en esta región

 

Como parte del programa, “Ayuda a que otros se queden en casa”, de la Universidad de Guadalajara, y que se instituyó para apoyar a las familias de los universitarios, en esta etapa de la pandemia por COVID 19, se han entregado 1,044 despensas. El pasado 11 de agosto comenzó la segunda etapa.

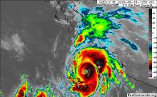
El Huracán “Genevieve” se alejó de la Costa de Jalisco

En la región de Bahía de Banderas continuará el predominio de nublados

 

 

El Maestro Víctor Cornejo López, Jefe de la Unidad de Meteorológica del Centro Universitario de la Costa dio a conocer que se mantiene muy activa la atmósfera en el Pacífico, por el huracán “Genevieve”, que se perfila en la trayectoria pronosticada.

Ya es categoría 4 huracán “Genevieve”, dejará fuertes lluvias

Se pronostican fuertes lluvias, oleajes y vientos

 

A través de la Unidad de Meteorológica del Centro Universitario de la Costa, se informa: 

 

 

Lo más relevante en los asuntos atmosféricos es la evolución del huracán “Genevieve”,que se localiza a unos 380 kilómetros de Oeste-Sur Oeste de Manzanillo, o 630 kilómetros al Sur–Sureste del extremo Sur de Baja California

El huracán “Genevieve no amenaza costas nacionales

El ciclón “Fausto” se disipará hoy por la tarde en aguas frías

 

 

El Maestro Víctor Cornejo López, Jefe de la Unidad de Meteorológica del Centro Universitario de la Costa, informó que hay mucha actividad de nublados y lluvias que se observan en el Pacífico. Sin embargo, la depresión tropical número 10, ya es historia.

Con relación al ciclón “Fausto”, el Maestro Víctor Cornejo López, aseguró que ahora también depresión tropical se disipará la tarde de este lunes al entrar en aguas más frías.

Se Esperan “Lluvias Débiles” en esta región este fin de semana

Otra vez, por la tarde se esperan lluvias

 

El Maestro Víctor Cornejo López, Jefe de la Unidad de Meteorológica del Centro Universitario de la Costa, informó que continúan los mares del Pacífico bastante activos.

Mientras tanto, se esperan lluvias por la tarde y noche Idioma Español El Maestro Víctor Cornejo López, Jefe de la Unidad de Meteorológica del Centro Universitario de la Costa, informó que habrá tiempo lluvioso y sigue dominando la mitad de territorio nacional, mientras la mitad Norte, prevalece el tiempo soleado, ambiente seco y fuerte calor causa por un centro de alta presión localizado en Texas.  En el Pacífico, el ciclón “Elida”, ya es historia, aunque se forma otro. Mientras tanto, la depresión Tropica

Mientras tanto, se esperan lluvias por la tarde y noche

 

El Maestro Víctor Cornejo López, Jefe de la Unidad de Meteorológica del Centro Universitario de la Costa, informó que habrá tiempo lluvioso y sigue dominando la mitad de territorio nacional, mientras la mitad Norte, prevalece el tiempo soleado, ambiente seco y fuerte calor causa por un centro de alta presión localizado en Texas.

Se esperan fuertes lluvias en la costa del Pacifico

Las lluvias más intensas se puede dar en la costa de Guerrero, Michoacán, Colima, Costa Alegre y Nayarit

 

 

El Maestro Víctor Cornejo López, Jefe de la Unidad de Meteorológica del Centro Universitario de la Costa, informó que se mantiene contrastante la situación atmosférica del país, con un sistema de alta presión provocan cielos claros, ambiente seco y temperatura en los estados de Norte, específicamente la Península de Baja California y estados de Noreste.

Segunda jornada de exámenes de admisión convoca a 5 mil 994 aspirantes

Este martes fueron realizadas las pruebas para ingreso al ciclo 2020-B en CUAAD, CUAltos, CUCEI, CUCosta y CUSur

 

A partir de las 7:00 horas de este martes 11 de agosto, 5 mil 994 aspirantes a estudiar alguna de las carreras que convocaron a la realización de la Prueba de Aptitud Académica (PPA) se presentaron en los centros universitarios de Arte, Arquitectura y Diseño (CUAAD), de los Altos (CUAltos), de Ciencias Exactas e Ingenierías (CUCEI), de la Costa (CUCosta) y del Sur (CUSur).

Durante la mayor parte del día, la temperatura podría superar los 33.6 grados centígrados

“Atmosfera contrastate se observa en el territorio nacional, cielos claros y ambiente seco, son las condiciones que siguen imperando en los estados de Norte y parte del Altiplano, especialmente en la zona Oriental de Chihuahua y estado Coahuila”, aseguró el Maestro Víctor Cornejo López, Jefe de la Unidad de Meteorológica del Centro Universitario de la Costa.

Mientras que los mares del Pacífico Sur mexicano, se mantienen bastante activos, con dos perturbaciones.